Table of Contents
1.Introduction
1.1 Purpose of the Document
This document is a User Guide for Freyr iREADY, a cloud-based ingredient database platform, which enables manufacturers and brand owners to understand the Regulatory requirements for cosmetic ingredients across the global markets.
1.2 Executive Summary
Cosmetic industry has about 37,000+ cosmetic ingredients, 490k+ chemicals and botanicals. With growing scientific knowledge and sensitivity towards product safety, the industry is witnessing more streamlined and stringent guidelines initiated by the Regulatory authorities to ensure consumer safety.
With evolving regulations, the cosmetics industry often faces numerous challenges, such as lack of Regulatory compliance information and safety data, varied threshold limits and restrictions in acceptability of the ingredient by the health agencies, which may result in issues like non-compliance, re labeling, missed product launches, product recalls and many more.
Freyr iREADY is an ingredient database platform which enables manufacturers and brand owners to understand the Regulatory requirements for ingredients across the global markets. The software supports proactive Regulatory compliance observance and management of product formulae in different markets. Freyr iREADY can be used for new product development as well as lifecycle management of existing products to ensure continued compliance.
1.3 Key Features of Freyr iREADY:
Ingredient Regulations:
Within Freyr iREADY, we maintain regulations/legislations and industry standards for more than 30,000 cosmetic ingredients by Substance Name, Function, INCI, Country, and CAS Number across 60+ markets.
Some of the key highlights of this feature include:
- Freyr iREADY takes into consideration the distinct names used for an ingredient in different regions. For e.g., Water is referred as “Air” in Indonesia and “Aqua” in Canada, hence, ensuring compliant labeling for different markets.
- Freyr iREADY includes all identified functions of each ingredient, hence, allowing the user to select ingredients with ease while building product formulae.
- The interface of Freyr iREADY is modelled for users to search ingredients using multiple parameters, like Ingredient name, CAS No., Functions, and other names in a single search bar.
- Freyr iREADY can help you in managing Regulatory information in a single repository rather than storing and maintaining ingredient data in spreadsheets, excel, SharePoint etc. The tool also helps in reducing the time spent for compliance check by simultaneously reviewing regulations of ingredients across the global markets in a single window.
To understand more on how to check ingredient regulations, refer to Section 10.
Formulae Compliance:
Freyr iREADY enables the users to create innovative formulae based on ingredient functions.
The user can select multiple ingredients to create formulae, add concentrations and functions, view the acceptability of the ingredient combination across the global markets. The tool includes all identified functions of each ingredient, hence, allows the user to select functions with ease while building product formulae.
Freyr iREADY currently supports formulation assessment taking various parameters into consideration, such as:
- Permissibility of the ingredient in each market. For e.g., Positive or prohibited list of ingredients in a market
- Global comparative map view across markets for overall compliance of the formulae based on the permissibility of ingredients
Some of the key highlights of this feature include:
- The created formulae are proprietary to the individual user/creator of the formulae
- Multiple formulations, and SKU’s can be created and saved for future use
- Ability to search for all ingredients in the formulae by using a list of CAS No.
To understand more on how to check formulation compliance regulations, refer to Section 12.
Recent Updates:
Regulatory developments and changes are regularly monitored by Freyr’s Regulatory intelligence team and the Freyr iREADY platform is updated every fortnight, and the same is conveyed to users with proactive alerts (Flags) enabling them to make informed decisions.
Some of the Key Highlights of this feature include:
- Ability to search recent updates based on a date range
- Ability to view your impacted formulae saved in iREADY based on the recent updates on ingredients
1.4 Intended Audience
This document is intended for professionals who are willing to understand the Regulatory requirements of ingredients across global markets and evaluate formulation compliance against regulations.
2. Terms and Definitions used in Freyr iREADY
Regulatory Status
Below are the definitions for Regulatory status of ingredients in various markets, as used in the Freyr iREADY tool:
- Prohibited
Legislative framework of specific country/region do not allow some ingredient(s) to be used in cosmetics. However, they may be presented as technically unavoidable impurities, subjected to limits.
Not Recommended
Safety assessment by the independent Industry association (e.g. CIR Expert Committee) concluded that some ingredients are ‘Not Safe’ for use in Cosmetics. However, the industry is free to use such ingredients at its own discretion/onus.
Recommended with Restriction
Safety assessment by the independent Industry association (e.g. CIR Expert Committee) concluded that some ingredient(s) may be used in Cosmetics but are subjected to certain restrictions in terms of ingredient specification, product types, concentrations etc. However, the industry is free to use such ingredient(s) at its own discretion onus.
Restricted use
Legislative framework of the country/region allows the ingredient(s) to be used in cosmetics, however, they are subjected to restrictions in terms of ingredient specification, product types, concentrations etc.
Recommended
Safety assessment by the independent Industry association ‘CIR Expert Committee’ concluded that some ingredient(s) may be used in Cosmetics as per the present practice of use and concentration. However, the industry is free to use such ingredients at its own discretion/onus.
Approved
Legislative framework of specific country/region allows some ingredient(s) to be used in cosmetics for the given function (e.g. colorant, preservative).
Listed
Some Ingredient(s) is/are listed in the ‘Inventory of Existing Cosmetic Ingredients in China’ (IECIC). These ingredients may be used in cosmetics marketed in China as per the requirements of the Technical Safety Standard for Cosmetics.
Flags
If there are any significant updates with respect to the ingredient, a colored Flag will appear next to the ingredient in the ingredient’s regulation screen.
Blue Flag
Any recent inclusions in the approved list or any relaxations in regulations with respect to ingredient will be highlighted with a blue flag.
Red Flag
Any recent prohibitions or restrictions introduced with respect to any ingredient will be highlighted with a red flag. (logos to be put)
Formulae Creation Options
Sample Formula: Users will be allowed to create up to 5 Sample Formulae and perform quick compliance check based on permissibility of ingredients for intended market or view global landscape of created sample formula.
Formula: Users may save created ‘sample formula’ as ‘Formula’ to perform timely compliance check or use as a SKU/ final Formula repository of all the products in the organization. There is no limit on the number of Formulae a user can save.
Definition of Function
Functions: Freyr iREADY has listed all the standard functions recommended by the EU CosIng database.
Standard Function: Functions which are governed by the regulation.
3.Acronyms
| S. No | Term | Definitions, Abbreviations & Acronyms |
| 1 | INCI | International Nomenclature for Cosmetic Ingredients |
| 2 | CAS No | Chemical Abstract Service Number |
| 3 | SVHC | Substance of Very High Concern |
| 4 | PROP65 | California Proposition 65 |
4.References
Freyr iREADY was referred for preparing this document.
5. Freyr iREADY– Introduction and Installation
Since Freyr iREADY is a web application, it is deployed from the development server to the cloud server on which the application will be run. The application can be hosted only on Microsoft Windows.
The application server software requirements are as follows:
- Windows Server 2016 or Higher
- SQL Server 2012 or Higher
- TFS 2015 or above
- Microsoft .Net Framework Version 4.5.2 or above
- Chrome 70.0 or above
- IIS 10.0 or above
- Languages: AngularJS 1.4.0, C# 4.0
6. System Architecture
The system will be implemented on 3-tier architecture. The technologies used to build this system are .Net Framework 4.5, SQL Server 2012. 3-Tier architecture generally contains UI or Presentation Layer, Business Access Layer (BAL) or Business Logic Layer and Data Access Layer (DAL).
Database built in SQL Server 2012 and it should be also support for SQL Server 2014.
Presentation Layer:
Presentation layer deals with the user interface of the application. This layer will be implemented using MVC and AngularJS. All pages may contain HTML, JavaScript, jQuery, and AngularJS. This will have interactive interfaces for managing Regulatory submissions.
Business Logic Layer:
This layer will be implemented with the help of Entity Relationship model. Entire business logic used in the application will be implemented in this layer.
Data Access Layer:
DAL contains methods that help business layer to connect the data and perform required operations (CRUD).
7.Getting Started
Being a Cloud-based platform, the only prerequisite to access Freyr iREADY would be internet connectivity and browser.
Freyr iREADY application can be accessed from any computer system with a relatively current version of a web browser (Chrome recommended). It can be accessed via the Internet, or an organizational Intranet, depending on the access policies of the organization.
The first page displayed upon launching the URL link is the Login window of the application.

Image 1: Login window
1. Enter your Username/Email and Password.
2. Click the
button or hit Enter. You will be directed to the Home page.
3. If the User ID and/or Password is/are incorrect, the below message is displayed![]()
4. If the user account is locked, the below message is displayed.
![]()
7.1 Forgot Password
In case you forget your password, click the
button. The Forgot Password window will pop up.
Enter your UserName and click on the [Retrieve Password] button. You will receive a link to your e-mail to reset your password.

When you click [Retrieve Password], a confirmation message is displayed stating that an email has been sent to you to reset your password.
Note: Clicking
button will discard the action.
Image 2: Forgot Password
An email will be sent to you with a link to Reset Password. On clicking
option provided in the email ID, you will be re-directed to Reset Password screen (Refer Image3). Once you reset the password, the screen will display a success message “Your Password has been reset successfully”
(Refer to Image 4). On clicking Click Here option provided below the success message you will be redirected to the Login Page (Refer Image 5).

Image 3: Reset password

Image 4: System displays Success message once the password is reset

Image 5: User directed to Login Screen when you click on the “Click Here” link after entering password reset.
7.1 Category Selection
When you enter valid credentials and click Login, a popup will be displayed to select the category. Based on the selection, you will be navigated to the corresponding home page.
Note: If a user is assigned only 1 category while user creation, then system will directly login to the home page on click of [Login]

Image 6: Category selection popup displayed on click of Login

Image 7: User redirected to home screen as per the category selection
8. Home
Home page will display with the below contents.
On the top banner, Freyr iREADY logo is displayed on left along with a button to switch the category.
Following options: ‘Change Theme’, ‘Raise a Ticket’, ‘User Guide’ and logged Username are displayed on top banner on the right side.
The modules of the application Dashboard, Ingredients Regulations, Recent Updates, and Formulae Compliance, will be displayed on the top of the screen
Three widgets are displayed below the top banner, Global Ingredients, Number of Countries, and Global Formulae and its respective count is displayed
An image stating the Concept Behind iREADY, a world map and Regulatory Updates list is displayed on the dashboard.
(Refer below image)

Image 8: Home Page displaying Dashboard and the top of the screen displays the list of modules
8.1 Change Category
On the left-hand top corner of the Home Page, beside the iREADY logo, if you click the current selected category, a popup will be displayed to select the category. You can select the other category and switch to the corresponding home page as per the selection. (Refer below images)

Image 9

Image 10
8.2 Change Theme
On the right-hand top corner of the Home Page, there is an icon
which allow the users change the theme of the application. There are three themes currently designed – Default, Dark and Green. (Refer below images)

Image 12

Image 13: When Dark Theme is applied

Image 14: When Green Theme is applied
8.3 Raise a Ticket
On the right-hand top corner of the Home Page, there is an icon
which allow the users to raise tickets.
Upon clicking the Raise a Ticket Icon, a window will open for the user to create a ticket related to any issues encountered in the application. User can select the Priority of the ticket from the drop down menu (Refer below image) and on clicking Submit, a ticket will be created and sent to the IT team.

Image 15: On selecting ‘Raise a Ticket’ Icon, a window will be opened to create a ticket
8.4 User Guide
On the top banner, next to Raise a ticket, there is an icon
to redirect to the User Guide. On click of it, the User Guide will be opened in a new tab.

Image 16
8.5 My Profile
My Profile is available as a drop down on clicking the username (Refer below Image).

Image 17
My Profile page allows the users to manage their own user account.
This page displays two tabs:
- User Details
- Subscription Details
User Details tab:
On this tab, below data is displayed.
- First Name
- Last Name
- UserName/Email
- Start Date
- End Date
Below buttons are available.
- Edit
- Change Password
- Cancel.

Image 18: User details, Edit, Change Password and Cancel options in My Profile Page
On clicking Edit button, the tool displays the User Details page. Here, the user can modify or add First Name, Last Name and Phone Number, once all the fields are filled and the user can click on Update to save the given information. (Refer below Image)

Image 19: On click of Edit button, user can change the First Name, Last Name, and Phone details. Clicking on Cancel button discards without changing anything

Image 20: On click of [Update], modified data will be reflected in User details section.
On selecting Change Password button, the tool will open a Change Password window for the user to change the Current Password. Once the password is provided and the user selects Save button the new password will be saved. (Refer below Image)

Image 21: Change Password Screen
Subscription Details tab:
For the subscribed users, the following details pertaining to the subscription are displayed in this tab: Transaction ID, Transaction Date, Amount, Start Date and End Date. (Refer below Image)

Image 22
8.3 Logout
Logout is available as drop-down option on clicking the username. On selecting it, the user will be logged out from the application and the Login screen will be displayed again. (Refer below Images)

Image 23: Logout option under username

Image 24: On selecting Logout option, the user will be logged out and re-directed to the Login Screen
9. Dashboard
The below contents are displayed on the Dashboard
The following widgets are displayed below the top banner: Global Ingredients, Number of Countries, and Global Formulae and their respective count of number of records.
An image stating the Concept Behind iREADY, a World Map on the center of the screen and Regulatory Updates List is displayed on the dashboard. (Refer below Image).

Image 25: Dashboard displaying World Map, 3 Tiles on the top, and Latest Ingredient Updates on right side
9.1 World Map
The World Map highlights all the countries for which the data is available in Freyr iREADY, and on hovering the mouse over a country, it displays the number of ingredients available for that particular country. (Refer below Image). The world map also has “Zoom In and Zoom Out” “+ and –“ icons at the bottom right corner for a closer view of the countries and count of available ingredients.
Zoom function also works with scroll key of the mouse and on using touch screen devices, map can be zoomed in and out by touch pinch.

Image 26: World Map displays no. of Ingredients for a country on hovering the mouse and Zoom in and Zoom Out options
9.2 Global Formulae
Global Formulae displays the Number of Formulae created by the user.
On clicking the Count box (Refer below Image) of Global Formulae tile, the tool will navigate the user to Formula Compliance module with the list of formulae created by the user, and actionable options against each formula. Available options are View, Edit, Clone Formula, Move to Sample Formula, Inactivate, Compliance, and Map View. A button to export the list of formulae to Excel is also available. (Refer its corresponding section for detail information)

Image 27: Clicking the Count Box of Global Formulae Tile on Dashboard

Image 28: User Navigated to Formulae Compliance Module with List of Actions for each formula
9.3 Global Ingredients
Global Ingredients displays the Number of Ingredients available in the tool.
On clicking the Count Box (Refer below Images) of Global Ingredient tile, the tool will navigate the user to the Ingredient’s Regulation module to view its details. The details are displayed in a tabular view with column headings as Flag, Ingredient Name, CAS No, Functions, Markets/Countries, EU INCI Name, US INCI Name, Other Names, (Refer below Images) Refer to section 10 for further details

Image 29: Clicking the Count Box of Global Ingredients, Chemicals and CITES Tile on Dashboard

Image 30: List of Ingredients in Tabular view
9.4 Number of Countries
Number of Countries display the number of countries for which ingredient data is available in the Freyr iREADY application (Refer below Image).

Image 31: No. of Countries displaying the count of countries for which ingredient data is available
9.5 Regulatory Updates:
Regulatory Updates is displayed on the right side of the world map which displays the latest ingredient regulation updates. It is displayed as a list along with a scroll bar. (Refer below Images).
On selecting any of the updates from the list, the tool will navigate the user to new window with the detailed view of the update (Refer below Images).

Image 32: Latest Regulatory Updates on right-hand side of the world map

Image 33: On selecting any of the update, tool navigates the user to a new window displaying detail of the update
10. Ingredients Regulations
Ingredient Regulations module maintains regulations/legislations and industry standards for more than 36,000 cosmetic ingredients by Substance Name, Function, INCI, Country, and CAS Number across 65+ markets.
Ingredient’s Regulations provides the name of top 100 mostly used Ingredients in the Industry. The ingredients are displayed in a tabular view with column headings: Flag, Ingredient Name, CAS No, Functions, Country Inventory, INCI Name, Other Names, Other CAS No, Last Updated (Refer below Image). Besides each heading, there is Sort icon for the user to sort the ingredients.
On clicking any ingredient from the list, the tool will display the Market, Regulatory Status and Region of the ingredient on the left-hand side of the screen. On selecting any of the Market from the list, the tool will display the details of the Market for the selected ingredient as listed below on the right-hand side of the screen.
- Standard Function
- Regulatory Status
- Regulatory Description
- Restrictions
- Restrictions Description
- Limits & Ranges
- Prohibitions
- Labelling Requirement
- Optional regulation reference in case ingredient not listed
- Supporting regulatory information
- Safety Considerations
- Reference Links
- Reference Attachments
- Abbreviations
- Review Date
If there are any significant update with respect to the ingredient, a colored Flag will appear next to the ingredient in the ingredient’s regulation screen.
Blue Flag
Any recent inclusions in approved list or any relaxations in regulations with respect to ingredient will be highlighted with a blue flag.
Red Flag
Any recent prohibitions or restrictions introduced with respect to any ingredient will be highlighted with a red flag.
The tool provides a search space on the top of the screen, users can search for ingredients either by Ingredient Name, CAS No, Functions and Other Names.
List of Ingredients and its attributes can be viewed in Grid or List View based on the options provided on the top right-hand corner of the screen.

Image 34: Grid View of ingredients displayed with different column headings and search option on the top of the screen

Image 35: Tool Tip
On selecting an ingredient from the list of ingredients, the tool navigates the user to the ingredient’s details page. In this page, on the left-hand side, the tool displays Market, Regulatory Status and Region of the ingredient.
The tool displays details of the selected market on the right-hand side of the screen, by default the tool displays the details of the first country from the list.
The users can view the details of all the markets pertaining to the ingredient one by one from the list (Refer to Image 25).

Image 37: Ingredients details page with list of Market and Regulatory status on left side of screen

Image: The tooltip highlights the presence of any Country specific regulations which supersede cluster specific regulations.
On selecting the Map View option provided at the top right-hand corner, the tool will display the world map with markets highlighted in different colors. On the right side of the map, the legend is displayed illustrating the Regulatory status of the ingredient in each market on the map (Refer to Image below)


Image 38: Map View of the Ingredient with Legends on the right side
Just above the General Tab, the tool displays a View Ingredient Details button (Refer to Image 27) and View Flag Details button (Refer to Image 27). On clicking the former, the tool showcases the ingredient Details window displaying Ingredient Name, CAS No., INCI Name, Functions and Recent Updates (Refer to Image 28). On clicking the later, the tool shows the flag details captured for that particular ingredient, if there are any (Refer to Image 29).

Image 39: View Buttons: View Ingredient Details, View Flag Details, View Physical Properties, View Toxicity Data

Image 40: On clicking the View Ingredient Details button the respective details are displayed as a pop up.

Image 41: On clicking the View Flag Details button the respective details are displayed as a pop up.

Image 42: On clicking the Physical Properties the ingredient specific properties are displayed as a pop up.

Image 43: On clicking the Toxicity Data button, all the details are available as a pop up.
11.Recent Updates
Recent updates display all the recently updated regulations of the ingredients with dates, in descending order. While updating an ingredient in the Metadata, the user must select “Save as Recent Updates” option then the update will be reflected in the Recent Updates module.
The updates are displayed in tabular view with column headings: Ingredient Name, CAS No, Other CAS No, Country, Regulatory Status, Last Updated, No of Impacted Formulae (Refer to Image 30). The users can also search for updates by providing Ingredient Name/CAS No and Date Range (Refer to Image 31).
On selecting any of the ingredient update, user will be directed to detail view of the update (Refer to Image 31)

Image 44: Recent updates with Search Option for user to search for updates along with Date Range option

Image 45: Detail view of the Update for an Ingredient
You will be notified via email if there are any regulatory changes to the ingredients you have used in any of your formula(e). (Refer below). Also, whenever there are any flag updates, automated email alerts with a list of impacted formulae are triggered to the users whose formulae have been impacted.

12. Formula Compliance
Formula Compliance offers users the ability to Create / Import formulae, a List Check tab – to search an ingredient using the CAS number, additional tabs to create and maintain Custom Ingredients and Custom Rules.
Following are the tabs under Formula Compliance – Formulae, Sample Formula, List Check, Custom Ingredients, Custom Rules.
In Formulae, Sample Formula tabs, user can fetch any record in the grid by searching with either Formula Name/No., or Formula Description, or Ingredient Name/Given Name
12.1 Formulae
The user can select multiple ingredients to create formulae, add concentrations and functions, and view the acceptability of the ingredient combination across global markets. Freyr iREADY includes all identified functions of each ingredient, hence, allowing the user to select functions with ease while building product formulae.
In Sample formula, user can create a formula by clicking on
icon then provide Formula
Name, Description and click on
icon to add ingredients. Once the user clicks on “+Ingredients”, the tool opens a small window where the user can select ingredients by name or CAS numbers. The selected list of ingredients can be dragged and dropped to the Formulation column on the right side or user can also use the move to icons
to add and remove
ingredients by selecting the check box provided beside the ingredient. Once the ingredients are added to the formulation column, user can view the EU CosIng recommended functions for each ingredient by selecting the information
icon. User can also add their own functions in the field provided. In the percentage field, the user can provide the percentage pertaining to each ingredient. The tool will add the percentage of all ingredients and display on the top of formulation column. If the total sum of the percentage adds to 100, it will be displayed in green color and if it is above or below 100 it will be displayed in Red. Once all the fields are updated user can click on
button and upon clicking on
button the formula created will be saved.
Once the Sample formula is created, the tool displays the formula in sample formula tab with the last updated/date created, along with actionable options as listed below
- Edit
icon allows the user to edit the formula created - Inactive
icon allows the user to deactivate the formula - Clone Formula
icon allows the user to create a replica of the same formula in order to tweak it a bit for some other product. - View
icon allows the user to view the Formula details - Move to Sample Formula
icon allows the user to move the created formula to the sample formula tab for his future reference. - Compliance allows the user to look for Formulae Regulation Compliance for any country. On selecting any country from the drop-down, the tool will display the Regulatory status of each ingredient
- Map View displays the Global Formulation Compliance for the ingredients used in the sample formula at various markets

Image 46: Formulae Tab in the Formula Compliance Module
Illustrations for Adding a Formula:

Image 47: Add Formula Button: On clicking this button, the user can create a formula (Give a Formula Name, Formula Description, Add Ingredients and specify the product type of the formula) after he his navigated to this screen

Image 48: On clicking the View Product Types button, the user can select and add the required record as per his requirement

Image 49: On clicking the Add Ingredients button, the user is navigated to this screen where he can search for an Ingredient by its Name, CAS No, EU-INCI Name, US-INCI Name and other names

Image 50: After searching for an ingredient, the user can select the desired one from the suggested list of ingredients and move it to the RHS using the >> button or can use << button to remove a particular ingredient

Image 51: User can hover over the blue icon to view the functions and click on the same to add different functions from the given list

Image 52: By clicking on the blue icon, this pop up appears that enables the user to select and add functions to the ingredient

Image 53: Once the formula is created successfully, a new record is generated in the Formulae Tab
Illustrations for the Assessment Options:
Compliance:

Image 54: Compliance Button under the Assessment Column

Image 55: On clicking the Compliance Button, a pop-up window appears that allows the user to select the Target Market/Country for which the user wants to check the Formula Compliance

Image: Refer to the tool – tip wherever there is ‘No Regulatory Status’

Image 56: After selecting the Target Market/Country, the user can the view the ingredient specific details.
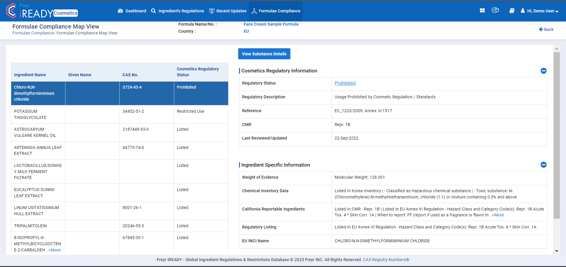
Map View:

Image 57: On clicking the Map View option, an aggregated pictorial representation of the regulatory status of all the ingredients used in the Formula is shown and on clicking any of the target markets/countries, the user is able to view the ingredients which are restricted or prohibited based on the regulations in the selected market/country.

Image: Formula Compliance >> Map View >> Detail Page
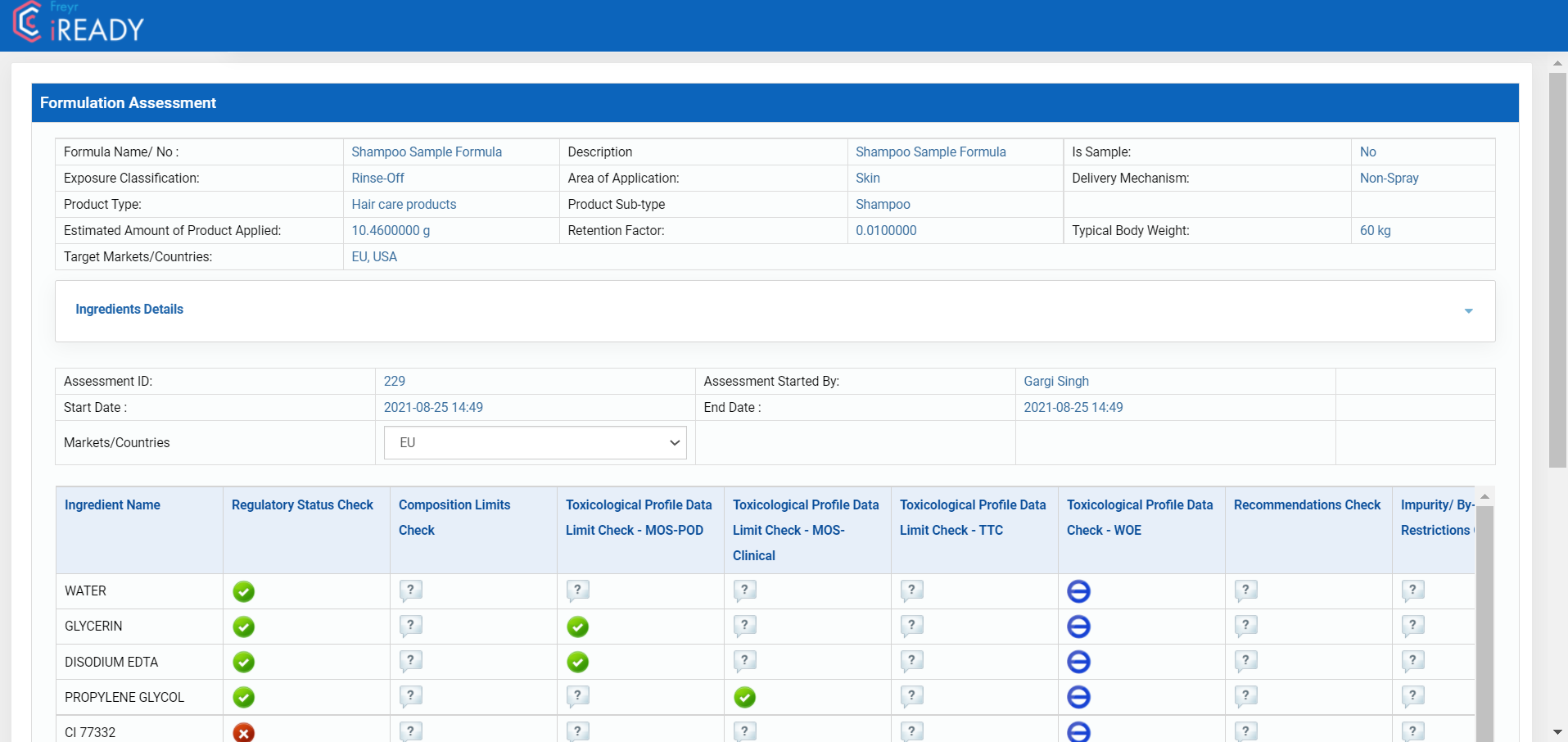
12.2 Digital Formulation Assessment

Image 58: On clicking the Formula Assessment option, user is taken to this screen wherein all the formula details, ingredient details are displayed.

Image 59: On clicking the Edit Markets/Countries button, user is taken to this screen wherein he can select the region he is targeting and can Add for the assessment to be run on.

Image 60: The image shows the expanded View Rules segment (Rules based on which the assessment is run). Once the user clicks on the Run New Assessment button, Assessment Details (Records of all the successful runs of the assessment) are generated. The user can, hence, View the Report online or can even Download the Report.

Image 61: On clicking the View Report option, a new window is opened with the Assessment Report which shows the Formula Details, Ingredient Details, Assessment Details, Result Summary Table and Detailed Rule Table

Image 62: Assessment Report contd.: Result Summary Table with the respective legend

Image 63: Assessment report contd.: On hovering over the icons in the result summary table, the user can view the corresponding reasons for such icons. After clicking on the icon, the user is taken to the Detailed Rule Table with elaborate description at the rule level and the formula level. (Refer to Image 51)

Image 64: Assessment report contd.: Detailed Rule table
12.3 Sample Formula
The user can select multiple ingredients to create formulae, add concentrations and functions, and view the acceptability of the ingredient combination across global markets. Freyr iREADY includes all identified functions of each ingredient, hence, allowing the user to select functions with ease while building product formulae.
In Sample formula, user can create a formula by clicking on
icon then provide Formula
Name, Description and click on
icon to add ingredients. Once the user clicks on “+Ingredients”, the tool opens a small window where the user can select ingredients by name or CAS numbers. The selected list of ingredients can be dragged and dropped to the Formulation column on the right side or user can also use the move to icons
to add and remove
ingredients by selecting the check box provided beside the ingredient. Once the ingredients are added to the formulation column, user can view the EU CosIng recommended functions for each ingredient by selecting the information
icon. User can also add their own functions in the field provided. In the percentage field, the user can provide the percentage pertaining to each ingredient. The tool will add the percentage of all ingredients and display on the top of formulation column. If the total sum of the percentage adds to 100, it will be displayed in green color and if it is above or below 100 it will be displayed in Red. Once all the fields are updated user can click on
button and upon clicking on
button the formula created will be saved.
Once the Sample formula is created, the tool displays the formula in sample formula tab with the last updated/date created, along with actionable options as listed below
- Edit

icon allows the user to edit the formula created - Inactive

icon allows the user to deactivate the formula - Clone Formula

icon allows the user to create a replica of the same formula in order to tweak it a bit for some other product. - View

icon allows the user to view the Formula details - Save as Formula

icon allows the user to move the created formula to the Formulae tab. - Compliance allows the user to look for Formulae Regulation Compliance for any country. On selecting any country from the drop-down, the tool will display the Regulatory status of each ingredient
- Map View displays the Global Formulation Compliance for the ingredients used in the sample formula at various markets
A single user can create up to 5 formulae in the iREADY application.

Image 65: Sample Formula Tab in the Formula Compliance Module
Illustrations for Adding a Formula:

Image 66: Add Formula Button: On clicking this button, the user can create a formula (Give a Formula Name, Formula Description, Add Ingredients and specify the product type of the formula) after he his navigated to this screen

Image 67: On clicking the View Product Types button, the user can select and add the required record as per his requirement

Image 68: On clicking the Add Ingredients button, the user is navigated to this screen where he can search for an Ingredient by its Name, CAS No, EU-INCI Name, US-INCI Name and other names

Image 69: After searching for an ingredient, the user can select the desired one from the suggested list of ingredients and move it to the RHS using the >> button or can use << button to remove a particular ingredient

Image 70: User can hover over the blue icon to view the functions and click on the same to add different functions from the given list

Image 71: By clicking on the blue icon, this pop up appears that enables the user to select and add functions to the ingredient
12.4 List Check
Freyr iREADY offers users the ability to check the Regulatory status of multiple ingredients in the formulae by using a list of CAS No. at one go.
On entering multiple CAS No. and clicking on search, the tool will list out all the ingredients pertaining to the CAS no. entered. Users can also copy a list of CAS No.’s from their source Formula document (Excel, Word or from any other source file) and paste it in the search box to view regulations. For easy identification of duplicates, the tool will highlight different ingredients with same CAS No.
On clicking Detail View button, the tool will display the ingredient details with Regulatory status. The user can select a country from drop down provided on the left-hand top of the screen to view the regulations for the selected country.
User can also create a formula from the list of ingredients displayed by selecting the check box beside the ingredient and clicking the Create Formula button.
Once the user clicks on Create Formula button, the tool displays the formula compliance page for the user to Add Formula Name, Formula Description, Functions and Percentage. User will have the option to save the created formula either as sample formula or formula by checking or unchecking the sample formula button.

Image 72: List Check Tab which allows the user to search for the compliance of the ingredients by specifying their respective CAS nos. in the search box

Image 73: Once the user searches for the given set of CAS nos., a tabular view of the corresponding ingredients appears which can be assessed further by clicking on the Detail View button


Image 74: On clicking the Detail View button, the user is navigated to a detailed version of the ingredient regulations based on the Market/Country of user’s choice. Also , wherever the Regulatory Status of an Ingredient is ‘No Regulatory Status’, the info icon (too-tip) has to be referred to.

Image 75: The tool allows the user to select desired ingredients from the list and put them together in the form of a Formula by clicking on the Create Formula button

Image 76: The user can input the empty fields based on the requirement and create a new formula in the userspace.
12.5 Import
Import Tab allows the user to create multiple formulae in the user space by downloading the default template, giving all the required inputs and importing the desired formulae by selecting the excel files from the local.

Image 77: Import Tab to import multiple formulae in the user space
12.6 Custom Ingredients
Custom Ingredients allows the user to add new ingredients to the formulae. By new ingredients we mean the ingredients which are not listed in the iREADY Cosmetics existing database. These ingredients can then be added to the Formulae that the user wishes to create.

Image 78: Custom Ingredients Tab to add new ingredients.
We really hope this user guide of Freyr iREADY is self-explanatory in all the parts. If you have any questions on any given section, please contact us at ireadysupport@freyrsolutions.com.
We will always be happy to assist you.
